User Tools

Site Tools


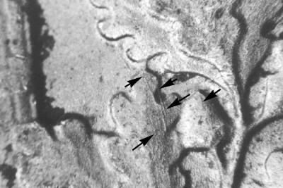
1948d10cwrpm002

1948-D 10c WRPM-002

Description

D/D Titled (Rotated)

Die Markers:
Obverse: N/S die scratch between the lower area of the R and T in LIBERTY. Light E/W die crack across the top of the head.
Reverse: NNW/SSE die scratches on the left inner oak leaf and acorn.

Submitted by: Brian Ostro

Images

1948d10cwrpm002.txt · Last modified: 06/07/2022 00:39 UTC by Tanner Scott